ひとはくの周辺(深田公園)には、
色々な植物が植えられています。
ひとはくの4階入り口近くに
キンモクセイ(モクセイ科)
があります。
今年は、そのキンモクセイの
花が 2025年10月12日に
ほぼ満開状態になりました。
そのときの記事は、
下記を見てください。
<関連記事>
ウスギ と キン の共演?
2025年10月12日
https://www.hitohaku.jp/blog/2025/10/post_3348/
同じキンモクセイで、
2025年11月6日午前に
2回目の花がほぼ満開状態で
咲きました。
※画像をクリックすると、
写真が拡大するものがあります。

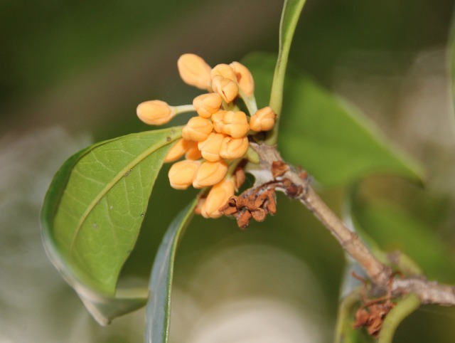
▲2度目の花が咲いたキンモクセイ
(2025年11月6日に撮影)
10月12日に満開状態のキンモクセイの
花が一度散って、もう一度咲いて、
満開状態になったのです。
いわゆる「キンモクセイの2度咲き
現象」(一般的な開花期 9~10月に
2回開花のピークがあること)です
(今年は、開花が遅め?)。
ちなみにキンモクセイの
すぐそばにキンモクセイの仲間の
ウスギモクセイがあります。
このウスギモクセイは、
10月上~中旬に1度咲きましたが
その後は咲いていません。
満開状態になる前に、注意深く
観察していた時、キンモクセイの1度目に
咲いた花が枯れた(茶色っぽい)もの
が枝に残っているのを発見しました。

▲1度目の花が枯れた(茶色っぽい)
ものが残っている枝。
花はまだ開いていない。
(2025年11月1日に撮影)
6日の夕方、キンモクセイの花が
すでに数ケ地面に落ちていました。

▲地面に落ちた、2回目に咲いた花
(2025年11月6日夕方に撮影)
2度目の花を咲かせているキンモクセイは
この個体だけでなく、いくつもの個体で
見られます。

▲2度目の花が咲いている別の個体
(2025年11月6日夕方に撮影)
現在(6日の時点で)、
円形劇場の上の緑道沿いや
4階入り口近くで
キンモクセイの香りが
漂っておりま~す
(香りが強いと
「キンも くせ エ~」と
なりますかね)。
皆さんも 周辺の環境で生きものの
観察をしてみませんか。
研究員 小舘
色々な植物が植えられています。
ひとはくの4階入り口近くに
キンモクセイ(モクセイ科)
があります。
今年は、そのキンモクセイの
花が 2025年10月12日に
ほぼ満開状態になりました。
そのときの記事は、
下記を見てください。
<関連記事>
ウスギ と キン の共演?
2025年10月12日
https://www.hitohaku.jp/blog/2025/10/post_3348/
同じキンモクセイで、
2025年11月6日午前に
2回目の花がほぼ満開状態で
咲きました。
※画像をクリックすると、
写真が拡大するものがあります。
▲2度目の花が咲いたキンモクセイ
(2025年11月6日に撮影)
10月12日に満開状態のキンモクセイの
花が一度散って、もう一度咲いて、
満開状態になったのです。
いわゆる「キンモクセイの2度咲き
現象」(一般的な開花期 9~10月に
2回開花のピークがあること)です
(今年は、開花が遅め?)。
ちなみにキンモクセイの
すぐそばにキンモクセイの仲間の
ウスギモクセイがあります。
このウスギモクセイは、
10月上~中旬に1度咲きましたが
その後は咲いていません。
満開状態になる前に、注意深く
観察していた時、キンモクセイの1度目に
咲いた花が枯れた(茶色っぽい)もの
が枝に残っているのを発見しました。
▲1度目の花が枯れた(茶色っぽい)
ものが残っている枝。
花はまだ開いていない。
(2025年11月1日に撮影)
6日の夕方、キンモクセイの花が
すでに数ケ地面に落ちていました。
▲地面に落ちた、2回目に咲いた花
(2025年11月6日夕方に撮影)
2度目の花を咲かせているキンモクセイは
この個体だけでなく、いくつもの個体で
見られます。
▲2度目の花が咲いている別の個体
(2025年11月6日夕方に撮影)
現在(6日の時点で)、
円形劇場の上の緑道沿いや
4階入り口近くで
キンモクセイの香りが
漂っておりま~す
(香りが強いと
「キンも くせ エ~」と
なりますかね)。
皆さんも 周辺の環境で生きものの
観察をしてみませんか。
研究員 小舘









